[…]
Earth Science News
No U.S. East Coast / Caribbean Tsunami Expected from Strong Earthquakes
[…]
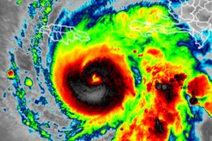
Major Hurricane Melissa to Bring Catastrophe to Jamaica with 195 mph Wind Gusts, 3 Feet+ Rain
[…]
Melissa to Bring Catastrophic Flooding to Jamaica & Haiti; Impacts to US Remain Unknown
[…]
Weather Balloon, Not a Meteor, Likely for Impact into United Flight to Los Angeles
[…]
Melissa Now Forecast to Become Major Hurricane
[…]
Melissa Likely to Become Hurricane; Future Track Unknown
[…]
Risk of Nocturnal Tornadoes in New Jersey and New York Tonight
[…]
Possible Meteorite Strikes United 737; Injures Pilot
[…]
Risk Growing for Nighttime Tornadoes in New Jersey and Pennsylvania Sunday/Monday
[…]
Climate Prediction Center Updates Winter Outlook
[…]
Company Proposes Selling Daylight on Demand
[…]
Lorenzo Dissipates Leaving the Atlantic Free of Any Tropical Threat
[…]
Overnight Earthquake Rattles New York Again
[…]
Cruise Ship with 9,000 Souls On-Board Trapped in Nor’Easter at New Jersey
[…]
Major Coastal Flooding & Wind Damage Likely Today from Nor’Easter
[…]















